The Government of Kerala has decided to establish three Science Parks in the State to take advantage of the opportunities arising from advancements in Science and Technology. Kerala State Council for Science and Technology and Environment (KSCSTE) an autonomous society under the Science and Technology Department of the Kerala Government, is designated as the Special Purpose Vehicle responsible for executing the three Science Parks. These parks will be coming up near to the International Airports at Thiruvananthapuram, Ernakulam and Kannur. Each Science Park will have an investment of ₹ 200 crores and an area of 10 lakh sq. ft. in two blocks.
The following respective universities are listed to serve as the Principal Associating University for the three science Parks.
| Sl. No. | Location | Thematic Domain | Principal Associating University |
| 1 | Kannur | Bioprocessing & Bioprospecting | Kannur University |
| 2 | Ernakulam | Material Science & Marine Sciences | Cochin University of Science and Technology |
| 3 | Thiruvananthapuram | Sustainable materials and Technologies | Kerala University |
The Science Park, Kerala is a platform to collaborate with International Institutions, Research and Development of Micro Small Medium Sectors and Multi-National Companies to create foster valuable relationships focusing on specific area for the research and offer trainings in associate with International Universities.
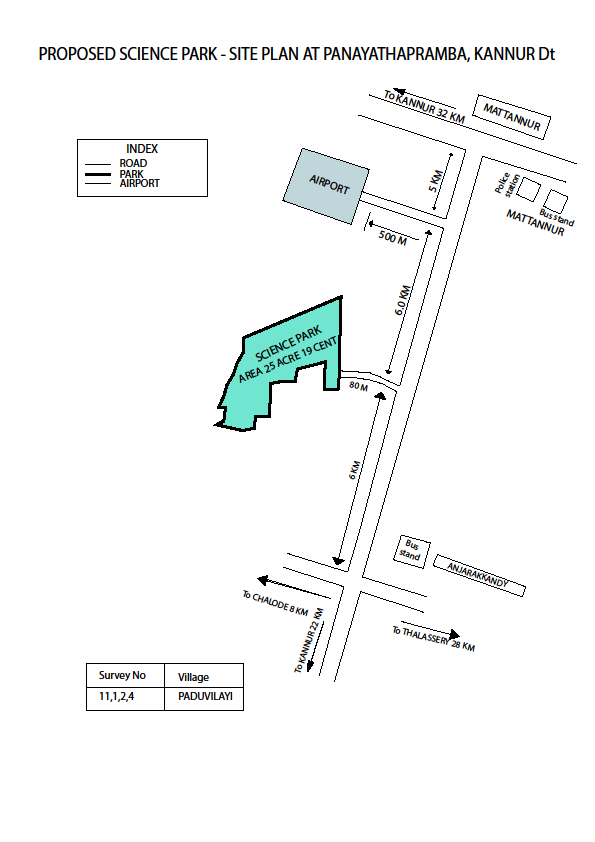
| KANNUR SCIENCE PARK
KSCSTE is desirous of creating a state-of-the art smart campus, for Science Park Kannur about 25 acres of land promoting industrial and entrepreneurial R&D in the field of Bioprocessing and Bio perspective. The Science Park will consist a combined plinth area of approx. 93000 Sq. m as Phase 1. The package 1 of Phase 1 shall be approx. 25000 Sq. m with an initial estimated project cost of ₹ 200 Crores. Vision To position Kerala as a global innovation hub, advancing knowledge-driven economies in bioprocessing, marine sciences, and sustainable materials, through cutting-edge research, technology development, and industry-academia collaborations that empower communities and drive inclusive growth. Mission
Current Status The Science Park at Kannur comprises a Admin Block (4,055 m²), two R&D Blocks (16,872 m² and 14,447 m²), and a Residential Studio Block (2,467 m²), all constructed using RCC framed structures with AAC block walls. The campus is equipped with modern MEP infrastructure including HT/LT electrical systems, DG backup, centralized HVAC with BMS integration, a 120 KLD Sewage Treatment Plant (STP), Effluent Treatment Plant (ETP), firefighting systems, CCTV, UPS, and rainwater harvesting. External works include internal roads, stormwater drainage, horticulture, compound walls, and a dedicated Solid Waste Management facility.
|





Prof. A Sabu
Dr. Binuja Thomas
Er. Arjun Prasad
Dr. Siju C R
Er. Sanoop P Hassan
Er. Nibhin Francis